Discretionary Use - Boarding Kennel
When:Notice of Discretionary Use Application:
Pursuant to Section 55 of The Planning and Development Act, 2007, the Council of the R.M. of Edenwold No. 158 gives notice that a discretionary use application has been received and the details are as follows:
Discretionary Use Application: Boarding Kennel
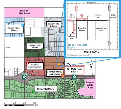
121 Metz Road, Butte Business District
Blk/Par 17-Plan 102423080 Ext 0
Intent: To allow for the development of a canine boarding kennel and training facility with a proposed interior kennel spaces of 50 kennels and an exterior off-leash compound.
Public Hearing: Council will hold a public hearing to receive submissions, written or verbal, on the proposed bylaw at 10:00 a.m. (local time) on Monday, March 9, 2026, in the Council Chambers of the R.M. of Edenwold No.158, 100 Hutchence Road, Emerald Park, Saskatchewan. Written submissions will be presented to Council and can be sent by mail or email. For further information or to submit written comments, please contact Sydney Buzash, Planner I/Development Officer at (306) 347-2965 or at planning@edenwold-sk.ca.




